首頁
娛樂
健康
美食
旅遊
體育
遊戲
搞笑
親子
寵物
歷史
文化
科學
正能量
辟謠
國風
動漫
漫畫
時尚
家居
生活
健身
養生
孕產
情感
星座
首頁
娛樂
健康
美食
旅遊
體育
遊戲
搞笑
親子
寵物
歷史
文化
科學
正能量
辟謠
國風
動漫
漫畫
時尚
家居
生活
健身
養生
孕產
情感
星座
首頁
娛樂
健康
美食
旅遊
體育
遊戲
搞笑
親子
寵物
歷史
文化
科學
正能量
辟謠
國風
動漫
漫畫
時尚
家居
生活
健身
養生
孕產
情感
星座
首页
>>
熱門
>>
國風
【原創】七律·端午時節採艾草
來源:
國風詩苑
更新:
06-11 10:07
透過 Facebook 分享
透過 Twitter 分享
透過 Whatsapp 分享
文/東方之音
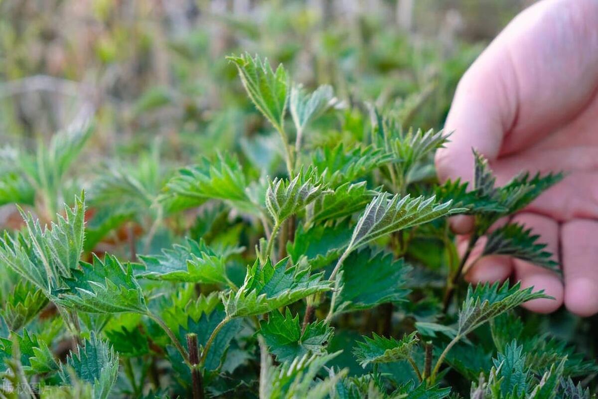
仲夏艾草遍山野,叢叢蓬蓬宛銀霜。
草本植物葉似菊,表面碧綠背灰絨。
五月端午門前插,辟邪燻蚊祛蟲障。
婷婷玉立葉鮮嫩,艾葉醒腦瀰漫香。
2024-06-10
(圖片來自網絡)
相關推薦
你幾月出生,就是什麼馬
國風
2026-02-25 08:45:00
2030黑白灰主色調
國風
2026-02-25 08:28:00
這屆年輕人如何“爆改”年味?
國風
2026-02-24 17:26:00
馬年說馬:一口氣盤點20句帶馬的千古名句
國風
2026-02-24 17:15:00
正月初八,一定送給自己這八句話!
國風
2026-02-24 11:18:00
初八開工大吉|八方來財,一路生花!
國風
2026-02-24 09:03:00
2029柳蔭岸邊
國風
2026-02-24 07:56:00
老樹:攜帶新增肥肉,告別親朋家人。騎驢出得深山,再入萬丈紅塵
國風
2026-02-23 10:00:00
2028河邊的樹蔭
國風
2026-02-23 09:27:00
【原創】散文·煙雨朦朧醉江南
國風
2026-02-22 21:39:00
中華傳統文化—正月初五迎五路財神:千年財福入萬家
國風
2026-02-20 21:01:00
老樹:朋友過年見面,連喝幾天大酒。約好明年再喝,然後匆匆分手
國風
2026-02-20 10:00:00
2027柳條下的船隻
國風
2026-02-20 08:38:00
【原創】散文·春晚機器人舞動除夕
國風
2026-02-19 19:31:00
2026村莊與石階
國風
2026-02-19 08:25:00
散文·除夕夜
國風
2026-02-18 12:06:00
【原創】散文·中華傳統—大年初二美祝福
國風
2026-02-18 10:58:00
散文·中華傳統—大年初二美祝福
國風
2026-02-18 10:39:00
請使用下列任何一種瀏覽器瀏覽以達至最佳的用戶體驗:Google Chrome、Mozilla Firefox、Microsoft Edge 或 Safari。為避免使用網頁時發生問題,請確保你的網頁瀏覽器已更新至最新版本。
繼續瀏覽
Scroll to Top